価格4,150万円
建築条件 無し
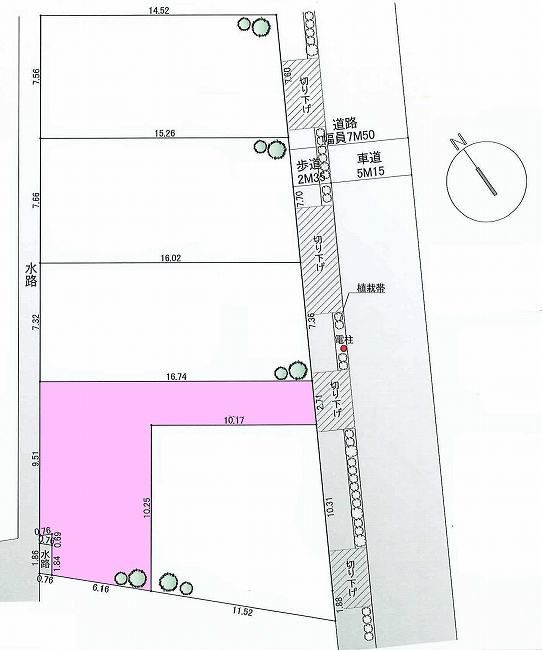
所在:府中市住吉町4丁目
new
交通:京王線中河原徒歩6分 南武線西府徒歩19分
分譲全5区画。
土 地
110.01㎡(33.28坪)
建率
40%
容積率
80%
用 途
第1種低層住居専用地域
接 道
一方
東7.5M道路
現 況
更地
引 渡
相談






設 備
公営水道、公共下水、東京電力、都市ガス
備 考
周辺状況



